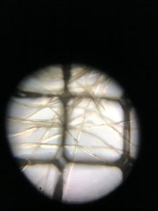
Cigarette Filter

Applause IconMay 10, 2019 • 6:29 PM UTC
Location IconUnknown Location
Applause Icon140x Magnification
Applause IconUnknown
User Profile

Learn about the author...

2posts
0comments
1locations
SINGLE IMAGE
View in Media Gallery
We looked at the filter of a cigarette. It was pretty interesting seeing the fibers in it and thinking about how the tightly woven network is what’s preventing the harmful substances from passing through. We used a grid overlay in the imaging to have a scale bar directly on the image. The grid is a 0.5mm grid, to give the scale of the fibers. #BioE301C
TODO
TODO
TODO

Sign in to commentNobody has commented yet... Share your thoughts with the author and start the discussion!

More Posts from Michael Snyder