பலாச்சொலை

Applause IconJun 26, 2024 • 10:37 AM UTC
Location IconIndia
Applause Icon140x Magnification
Applause IconPlants
User Profile

I am a Primary School Teacher

1046posts
131comments
62locations
SINGLE IMAGE
View in Media Gallery
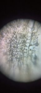
நேற்று வீட்டில் பலாச்சொலை வாங்கிட்டு வந்தாங்க. நானும் அதை சாப்பிட்டேன். சாப்பிட்டு முடித்தப்பிறகு தான் ஓ அதனை மடிப்பு நுண்ணோக்கியில் வைத்துப் பார்க்கலாம் என்று தோன்றியது. உடனே சின்ன பகுதியை வைத்துப் பார்த்தோம். அதன் பிறகு தோன்றியது விதையின் மேல் பகுதியில் உள்ள தோல் பகுதியையும் பார்க்கலாம் தோன்றியது. அதையும் சேர்த்து பார்த்து பதிவு செய்தோம்.
TODO
TODO
சுலையின் தோல் பகுதியில் பதிவு செய்தது.
TODO
TODO
TODO
விதையின் மேல் தோல் பகுதி. தாவர செல் அமைப்பை பார்க்க முடியும்

Sign in to commentNobody has commented yet... Share your thoughts with the author and start the discussion!

More Posts from Pandiarajan tnsf